Magazin

Kerti szemét – de hova?
A tavaszi kánikulában mindenütt megkezdődött a nyári növényszezon. Az évszakok legszebbike a kertekben takarítással indul, a lakásokban pedig az edényesek átültetésével. Mindkét esetben felmerül a ké...
Olvass tovább
Öregapám azt tanácsolta... MUNKÁRA BÍRNI A TERMÉSZETET MIKORRHIZA TECHNOLÓGIÁVAL
Öregapám azt tanácsolta... MUNKÁRA BÍRNI A TERMÉSZETET MIKORRHIZA TECHNOLÓGIÁVAL Öregapám azt tanácsolta, hogy telepítés előtt legalább egy ásónyi erdei földdel kell beoltani a városi környeze...
Olvass tovább
TIPP a CSERESZNYELÉGY távoltartására AMINORET® szermaradékmentes technológiával
A cseresznyelégy (Rhagoletis cerasi, Rhagoletis cingulata,. L) a cseresznye- és meggytermesztés kétségkívül legfontosabb kártevője. Lárvája okozza a cseresznye, és ritkábban a meggy nyüvességét (kuk...
Olvass tovább
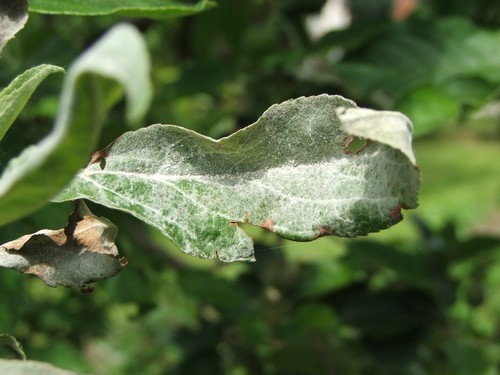
Növényvédelmi teendők – 2018. április 28.-május 4.
Az elmúlt héten az almafalisztharmat gyors és járványos fellépése volt megfigyelhető, különösen a fogékony fajtákon. Oka a száraz, meleg idő, a tél végén és rügyfakadáskor javasolt lemosó permetezése...
Olvass tovább
Talajlakók ellen, vegyszer nélkül HORTOBIO
Talajlakók ellen, vegyszer nélkül HORTOBIO HORTO BIO A HORTO BIO legfontosabb jellemzője, hogy ricinusolaj-alkaloidákat tartalmaz. A talajba kerülve eze...
Olvass tovább
Zsigó György – Hasznos közlendők kertbarátoknak – 2018/6
Néhány napja egy melegrekord is megdőlt és eddig csapadékban sem volt hiány. Érthető, hogy most hirtelen beindultak a növények. A kajszi és a mandula sziromhullása után most egyszerre virágzó őszibar...
Olvass tovább
Az otthon termett szamóca gyakran nem jut el a konyháig
Gyümölcseink (vagy zöldségeink) között a legkényesebb a szamóca. Szezonja most van. Sokkal többen kedvelik, mint ahányan termesztik. Kiskerti, szabadföldi, fóliás nevelése számos buktatóval jár, de a...
Olvass tovább
Növényvédelmi teendők - 2018. április 7-14.
A tujafúró aranymoly lárvája a tujafélék és az álciprus kártevője. Rejtett életmódja miatt csak a lepke látható a rajzás idején. A megközelítőleg 4 mm nagyságú, 8 mm szárnyfesztávolságú molylepkék fe...
Olvass tovább
Ami a metszés után következik
Mondhatni rittyen a természet, miután a hét közepén nappal már „rövid ujjasra” melegedett az idő. A hirtelenjött tavasz értékeléséhez figyelni kell a meteorológusok is, akik szerint a jövő hétre viss...
Olvass tovább
Zsigó György – Hasznos közlendők kertbarátoknak – 2018/4
► Akinek őszibarackja és, nektarinja van, annak a tafrinával mindig számolnia kell. Igaz, hogy a mostani hétvégére jellemző15-20 C0-on leáll a terjedése, de az év eleji időjárás kedvezett a gombának ...
Olvass tovább
Zsigó György – Hasznos közlendők kertbarátoknak – 2018/5
„Virágzik a kajszi, nemsokára követi a meggy is.” – kezdtem tavaly március 26-án a 3. felhívást. Az őszibarackoknál a tafrina miatt (4. felhívás), ahol kajszi és meggy is található ott a virágfertőző...
Olvass tovább
Megkerülhető kerthibák
Húsz fokos meleggel, néhány hetes késéssel, de teljes erejéből megérkezett a tavasz, a kertek tele vannak virággal, a fák-bokrok legszebb zöld ruhájukban illegetik magukat, lassan lehet füvet nyírni,...
Olvass tovább
TIPP a cseresznyelégy okozta kártétel megelőzésére
TIPP a cseresznyelégy okozta kártétel megelőzésére A cseresznyelégy (Rhagoletis cerasi, Rhagoletis cingulata,. L) a cseresznye- és meggytermesztés kétségkívül legfontosabb kártevője. Lárvája okozza...
Olvass tovább
A mohát most lehet legyűrni
A gyep tavaszi karbantartásával nem érdemes várni. Ősszel és tavasszal lehet gyepet telepíteni. De ilyenkor kell a gyep hibáit felülvetéssel kijavítani. Aki az őszi telepítést lekéste és a maga akarj...
Olvass tovább
Betöltés...
Nyelv és pénznem
Betöltés...
Betöltés...
Belépés
vagy
Elfelejtett jelszó
Betöltés...
Termékek
Menüpontok