Ha most már nem használ a mályvabokrokra semmit, csak a lehullott leveleket megsemmisíti, az is elegendő. Esetleg a poloskák elleni védelemre még egy kezelés szóba jöhet (pl. Mospilan 20 SG).
Én most már megvárnám, hogy lehulljanak a levelek és utána az őszi lemosó permetezés során őket is alaposan lekezelném. A leveleket össze kell szedni és kidobni, nem komposztálni.
A vándorpoloskák nekem is gyanúsak voltak (vannak itt bőven), de ilyen jellegű pusztítást tudnak okozni?
A bokrok egyébként kaptak már gombák, kártevők elleni kezelést is (amistar, vertimec, bi58), de nem látok pozitív változást.
Mivel lehetne védekezni? Egyáltalán így ősz felé lehet (érdemes) még valamit tenni, vagy majd jövő tavasszal kell harcba szállni?
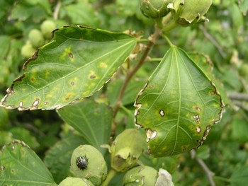
Ősz van, több a csapadék, hűvösek az éjszakák, így lehet, hogy valami gombás/baktériumos megbetegedésről van szó, de nekem inkább a képen jól látható vándorpoloska gyanús, lehet, hogy az ő szívogatásai nyomán alakultak ki a foltok.
Mályvabokraimon az utóbbi időben a mellékelt képen látható szürkés-barnás levélfoltosságot fedeztem fel. A bokrok egyre nagyobb része érintett.
Mi lehet ez és mivel kellene védekezni?
Témakörök
Mályvabokor levélfoltosság
Köszönöm a tanácsokat.
Üdv: András
Ha most már nem használ a mályvabokrokra semmit, csak a lehullott leveleket megsemmisíti, az is elegendő. Esetleg a poloskák elleni védelemre még egy kezelés szóba jöhet (pl. Mospilan 20 SG).
Kösz a tippet, őszi lemosó permetezés jó ötlet. Most már csak az a kérdés, mivel kéne kezelni.. Agrol plusz, Nevikén?..
Én most már megvárnám, hogy lehulljanak a levelek és utána az őszi lemosó permetezés során őket is alaposan lekezelném. A leveleket össze kell szedni és kidobni, nem komposztálni.
A vándorpoloskák nekem is gyanúsak voltak (vannak itt bőven), de ilyen jellegű pusztítást tudnak okozni?
A bokrok egyébként kaptak már gombák, kártevők elleni kezelést is (amistar, vertimec, bi58), de nem látok pozitív változást.
Mivel lehetne védekezni? Egyáltalán így ősz felé lehet (érdemes) még valamit tenni, vagy majd jövő tavasszal kell harcba szállni?
Ősz van, több a csapadék, hűvösek az éjszakák, így lehet, hogy valami gombás/baktériumos megbetegedésről van szó, de nekem inkább a képen jól látható vándorpoloska gyanús, lehet, hogy az ő szívogatásai nyomán alakultak ki a foltok.
Tisztelt tanácsadó!
Mályvabokraimon az utóbbi időben a mellékelt képen látható szürkés-barnás levélfoltosságot fedeztem fel. A bokrok egyre nagyobb része érintett.
Mi lehet ez és mivel kellene védekezni?
Köszönettel: Gaál András