Növényvédelmi teendők – 2018. április 28.-május 4.
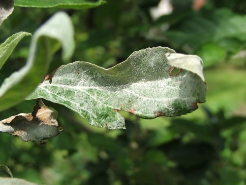
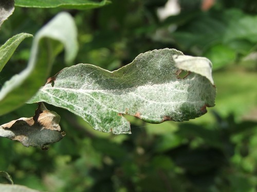
Az elmúlt héten az almafalisztharmat gyors és járványos fellépése volt megfigyelhető, különösen a fogékony fajtákon. Oka a száraz, meleg idő, a tél végén és rügyfakadáskor javasolt lemosó permetezések elhagyása volt, amit az is tetézett, hogy az április első felében tapasztalt hirtelen felmelegedés hatására a rügyfakadás az általánosnál sokkal gyorsabb volt.
A kórokozó a fertőzött rügyekben telel át gombafonalak segítségével. Az ilyen rügyekből kifejlődő hajtások rövidebbek, rozettásodók, merevek, keskenyek, felületüket vastagon borítja a betegségokozó gomba fehér, lisztes bevonata.

A beteg bimbók kisebbek az egészségeseknél, virágzás előtt elpusztulnak vagy később nyílnak. A leveleken elmosódó, világoszöld foltok láthatóak, a levelek széle hullámosodik, később elhal, a levéllemez begörbül. Az erős lisztharmat-fertőzést a terméskezdemények tömeges hullása is követheti. Később a gyümölcsökön hálózatos parásodás látható.
A betegség tüneteinek megelőzésére általában felszívódó készítményeket ajánlunk (pl. Chorus, Topas, Score stb.). A jelenlegi helyzetben a felsorolt gombaölő szereket kombinálni kell a kénnel (pl. Thiovit, Kumulus, Necator, Microthiol). Az is jó, ha csak a kéntartalmúak közül juttatunk ki egyet, ám mivel ezek csak a felületen hatnak, a kezelést 5 napon belül célszerű megismételni.
Megismétlem a köszméte (egres) amerikai lisztharmata elleni megelőző védekezési felhívást, mert a tünetek megjelenése után a folyamat visszafordíthatatlan, és a gyümölcs fogyaszthatatlanná válik. Ajánlott gombaölő szerek: Quadris vagy Signum (a Signum kis kiszerelésben szabad forgalomban vásárolható).
A levéltetvek gyümölcsfáinkon, bokrainkon, dísznövényeinken már megjelentek, telepeik napról-napra növekednek. Minél előbb permetezünk, annál inkább számíthatunk az eredményre. Jelenleg a gyors hatású piretroidok (Karate, Sherpa stb.) felhasználása javasolt.

Néhány almafán már láthatóak a vértetű kis kolóniái, amelyek figyelmeztetnek a kártevő elleni védekezés minél előbbi elvégzésére. Most még a Vektafid R is hatásos a kártevő ellen 1%-os koncentrációban. A későbbiekben az Apacs vagy Actara felhasználását javaslom. Mindkettő feltételes forgalomban vásárolható. A permetezést erős vízsugárral végezzék!
Dr. Varga Mária
szaktanácsadó